
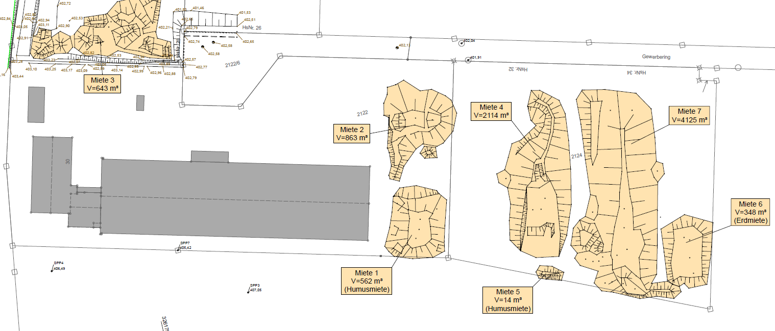
Verfügbare Mengen (Stand Januar 2025):
- 4.000 m³ Erdaushub (kostenlos)
- 1.000 m³ Mutterboden (kostenlos)
- 2.000 m³ Keuper (10,-/m³ oder nach Vereinbarung)
- 500 m³ Humus (5,-/m³ oder nach Vereinbarung)
Egal ob eine Schubkarre voll oder mehrere LKW-Ladungen,
bei Interesse wenden Sie sich bitte an: Frau Bürkel
E-Mail: [email protected]
Telefon:
09802 25497-111 oder
09802 25497-0
Lage der Mieten
